Beam Road & Front Street

Nome, AK 99762
For Sale
$190,000

About this property

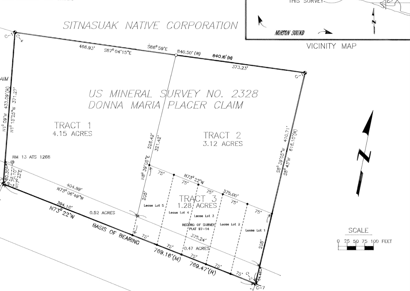
Located at the corner of Beam Road and Front Street just a few miles from town, this 4.15-acre parcel offers strong visibility, accessibility, and development potential.

The property is raw tundra and will require site preparation, including a gravel pad for building. Power is nearby, making future electrical hookup feasible. Access is maintained year-round, and a shared driveway provides entry to the parcel.

A prior engineering corps permit supports development potential. Neighboring wells in the area are brackish and not potable, so buyers should plan appropriate water solutions.

With corner frontage and convenient proximity to town, this parcel is well-suited for residential construction, mining operations, equipment staging, or industrial use.

Offered at $210,000.

Request details
Schedule a tour
For Sale
$190,000
Acres
4.15

Interested in

Beam Road & Front Street

Sandi Keller
Sales Associate
Sandi Keller profile image
Please Select Date
Please Select Type